Menu
Obec Boleráz
ObecBoleráz

Informácia pre obyvateľov ohľadom stavebných prác na ulici Za kostolom

IBV

Informácia pre obyvateľov ohľadom stavebných prác na ulici Za kostolom

Vážení občania,

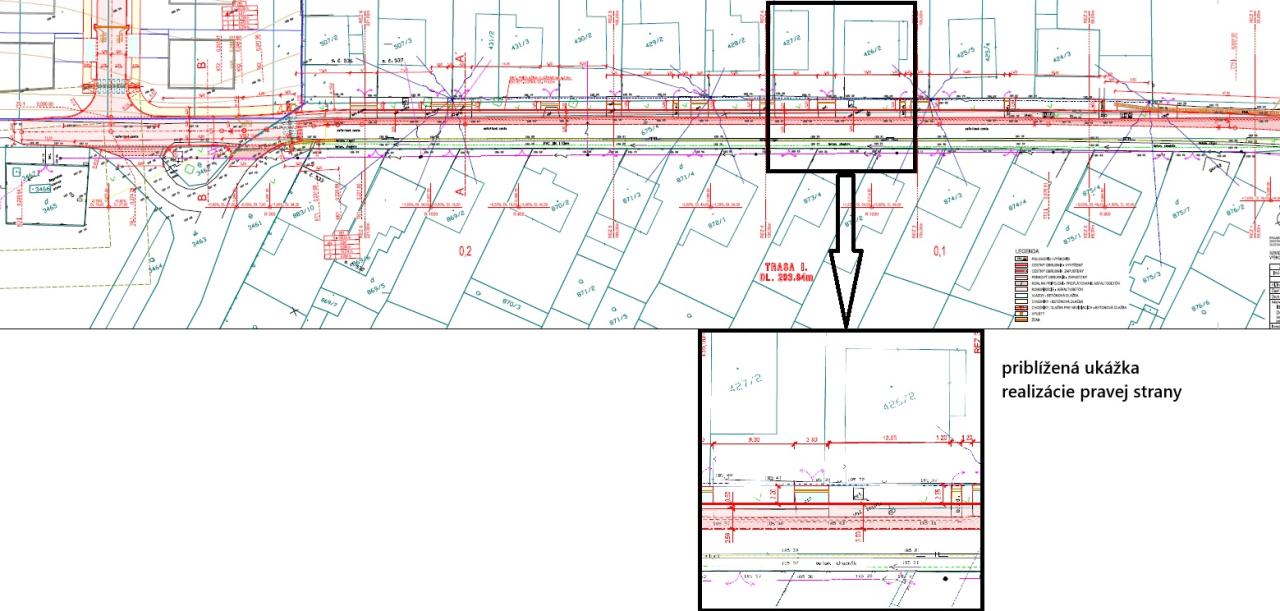
Súkromný investor spoločnosť IBV Boleráz, s.r.o. a ich realizátor dnešným dňom prevzali stavenisko ohľadom projektu rozšírenia jestvujúcej miestnej komunikácie Za kostolom, ktorá je súčasťou stavebného povolenia na stavbu „IBV Boleráz – 17 RD – dopravná a technická vybavenosť“.

Dnešný dňom započali aj stavebné práce, ktoré sa týkajú pravej strany cesty, viď. Nižšie:

IBV

Bližšie info:

  1. Do poštových schránok obyvateľov ulice Za kostolom budú doručené oznámenia s bližším popisom
  2. Poprosíme o zvýšenú opatrnosť všetkých občanov, nie len obyvateľov ulice počas trvania stavby, za dočasné obmedzenie komfortu sa realizátor ospravedlňuje vopred.

 

 

Ďakujeme za spoluprácu

 Obecný úrad Boleráz

12

Dátum vloženia: 25. 11. 2025 12:35
Dátum poslednej aktualizácie: 25. 11. 2025 12:38
Autor: Mgr. David Matula

Udalosti

Sviatok

Meniny má Marcel , Hvezdoň

Zajtra má meniny Ervín , Abelard, Adelard, Anzelm, Žitoslav, Anzelma, Ervína, Saskia, Žitoslava

Virtuálny cintorín

Virtuálny cintorín

Kalendár

Apríl2026
Po Ut St Št Pia So Ne
30 31 1 2 3 4 5
6 7 8 9 10
13 14 15 16 17 19
20 21 22 23 24 25 26
27 28 29 30 1 2 3

Aktuálne počasie

dnes, pondelok 20. 4. 2026
oblačno 13 °C 5 °C
utorok 21. 4. slabý dážď 12/4 °C
streda 22. 4. jasná obloha 13/1 °C
štvrtok 23. 4. slabý dážď 15/3 °C

Mobilná aplikácia

Sledujte informácie z nášho webu v mobilnej aplikácii - V OBRAZE.
Voľne k stiahnutiu:

Aktuality

20.4.2026 Obecný rozhlas

17.4.2026 Obecný rozhlas

16.4.2026 Obecný rozhlas

15.4.2026 Obecný rozhlas


Mobilná aplikácia

Aktuálne informácie od nás
Priamo vo vašom telefóne
Stiahnite si našu mobilnú aplikáciu na